
Hurricanes in Jamaica
History, Resilience, and Preparedness
A History Shaped by Storms
Jamaica’s beauty is matched by its resilience.
As a Caribbean island located in the Atlantic hurricane belt, Jamaica has faced numerous major storms throughout its history.
From the powerful Hurricane Charlie in 1951 to the devastating Hurricane Gilbert in 1988 and Hurricane Ivan in 2004, each storm has tested the island’s infrastructure and spirit.
Hurricane Gilbert remains one of the most destructive storms to hit Jamaica, crippling power lines, flattening banana crops and damaging homes islandwide.
Yet, it also revealed the extraordinary strength of Jamaican communities.
Families shared resources, neighbours rebuilt together and the phrase “Wi likkle but wi tallawah” — meaning small but mighty — became a defining sentiment.
Hurricane Ivan, arriving sixteen years later, brought similar devastation but showed marked improvement in national response and coordination.
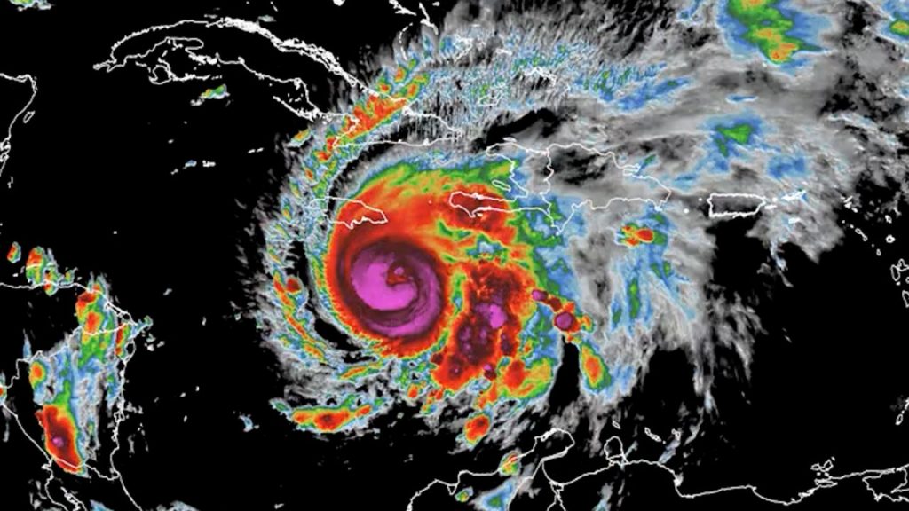
More recently, Hurricane Melissa served as a modern reminder that preparedness remains essential.
Melissa caused flooding in some regions but also highlighted the effectiveness of Jamaica’s early warning systems and community outreach.
Government Action and Community Preparedness
Over the years, the Jamaican government has enhanced its disaster management strategy through agencies such as the Office of Disaster Preparedness and Emergency Management (ODPEM) and the Meteorological Service of Jamaica.
These agencies monitor weather systems, issue timely alerts and coordinate evacuations when necessary.
ODPEM has also prioritized education — ensuring citizens understand hurricane preparedness, from securing roofs and stocking emergency supplies to protecting important documents.
Shelters are designated across parishes, emergency drills are held regularly and national broadcast networks provide continuous updates during hurricane season (June to November).
Investments in infrastructure resilience, such as stronger building codes, improved drainage systems and hurricane-resistant housing, have reduced the long-term impact of these natural disasters.
Jamaica has learned not only to recover but also to anticipate and adapt.
Safety for Tourists During Hurricanes
Tourism remains vital to Jamaica’s economy and visitor safety is a top priority.
Resorts, villas and guest houses are required to follow national emergency protocols, keeping guests informed and protected.
If a hurricane threatens while you’re visiting, here are key steps to follow:
• Stay informed — listen to local news and follow updates from ODPEM
• Follow instructions from hotel staff or local authorities without delay
• Stay indoors and away from windows during the storm
• Keep essentials ready — water, non-perishable food, a flashlight and your travel documents.
Once authorities issue the “all clear,” Jamaica’s hospitality sector moves quickly to restore normal operations, ensuring safety and comfort for all visitors.
Resilience Beyond the Storm
Hurricanes are an unavoidable part of life in the Caribbean, but Jamaica’s response has evolved remarkably.
Through improved forecasting, government coordination and community resilience, the island continues to stand strong.
Each hurricane leaves lessons learned — about preparedness, unity and recovery.
While the winds may bend our trees and the rains may flood our streets, the spirit of Jamaica remains unshaken.
The island continues to rebuild, recover and welcome the sunshine that always follows the storm.
- Share This Page...
- Discover cultrally-inspired artwork



